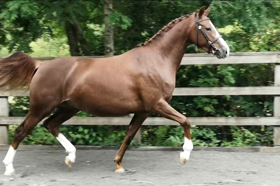
| Name: | HAMMERWOOD FLAMINGO |
| UELN: | 826060204137517 |
| Chipnumber: | 985111001127379 |
| Colour: | CHESTNUT |
| Reg. Type: | MAIN PONY |
| Studbook: | THE SPORTS PONY STUDBOOK SOCIETY |
| Date of Birth: | 06/01/17 (9 YEARS OLD) |
| Sex: |
FEMALE
|
| Owner/Keeper: |
PIPPA DREW BOWER HOUSE HAMMERWOOD EAST GRINSTEAD SUSSEX 07900993884 |
| Breeder: | HAMMERWOOD STUD |
| Website: | http://Hammerwood Stud Facebook page |
| Judges Rik van Miert, Lesley Peyton-Gilbert, Jennie Loriston-Clarke | ||||||||||||
|---|---|---|---|---|---|---|---|---|---|---|---|---|
| Veterinary Comment | Mark 1 | Mark 2 | ||||||||||
| Care body weight re bone | 8.25 | 9 | ||||||||||
| Discipline | Sports Pony | |||||||||||
| Veterinary Assessment | ||||||||||||
| Stance of Forelegs | Over at the knee | X | Back at the knee | |||||||||
| Stance of Forelegs | Carpal valgus | X | Carpal varus | |||||||||
| Stance of Forelegs | Offset laterally | X | Offset medially | |||||||||
| Stance of Hindlegs | Acute hock angle | X | Straight hock angle | |||||||||
| Stance of Hindlegs | Tarsal valgus | X | Tarsal varus | |||||||||
| Stance of Fetlocks (front) | Over-extended | X | Upright | |||||||||
| Stance of Fetlocks (back) | Over-extended | X | Upright | |||||||||
| Shape of Feet | Wide | X | Narrow | |||||||||
| Heels | High | X | Low | |||||||||
| Symmetry of the Shoulder Girdle | Symmetrical | X | Asymmetrical | |||||||||
| Symmetry of the Pelvic Girdle | Symmetrical | X | Asymmetrical | |||||||||
| Quality of Legs: Tendon Sheaths | No effusions | X | Effusions | |||||||||
| Quality of Legs: Joints | No effusions | X | Effusions | |||||||||
| Correctness of Walk: front legs | Toed in | X | Toed out | |||||||||
| Correctness of Walk: hind legs | Toed in | X | Toed out | |||||||||
| Correctness of Trot: front legs | Toed in | X | Toed out | |||||||||
| Correctness of Trot: hind legs | Toed in | X | Toed out | |||||||||
| Muscle / Body | ||||||||||||
| Muscle Development | Well muscled | X | Poor | |||||||||
| Body Condition Score | Underweight | X | Overweight | |||||||||
| Growth Plate Development | ||||||||||||
| Knee: Right Front | Normal | X | Abnormal | |||||||||
| Knee: Left Front | Normal | X | Abnormal | |||||||||
| Hock: Right Hind | Normal | X | Abnormal | |||||||||
| Hock: Left Hind | Normal | X | Abnormal | |||||||||
| Fetlock: Right Front | Normal | X | Abnormal | |||||||||
| Fetlock: Left Front | Normal | X | Abnormal | |||||||||
| Fetlock: Right Hind | Normal | X | Abnormal | |||||||||
| Fetlock: Left Hind | Normal | X | Abnormal | |||||||||
| Foot Balance | ||||||||||||
| Foot Balance: Right Front | No issues | X | Attention needed | |||||||||
| Foot Balance: Left Front | No issues | X | Attention needed | |||||||||
| Foot Balance: Right Hind | No issues | X | Attention needed | |||||||||
| Foot Balance: Left Hind | No issues | X | Attention needed | |||||||||
| Conformation - Frame | ||||||||||||
| Body Shape | Rectangular | X | Square | |||||||||
| Body direction | Uphill | X | Downhill | |||||||||
| Length of legs | Long | X | Short | |||||||||
| Head-neck connection | Light | X | Heavy | |||||||||
| Length of neck | Long | X | Short | |||||||||
| Position of neck | Vertical | X | Horizontal | |||||||||
| Muscling of neck | Heavy | X | Poor | |||||||||
| Shape of neck | Arched | X | Straight | |||||||||
| Height of whithers | High | X | Flat | |||||||||
| Length of whithers | Long | X | Short | |||||||||
| Position of shoulder | Sloping | X | Straight | |||||||||
| Length of shoulder | Long | X | Short | |||||||||
| Line of the back | Roached | X | Weak | |||||||||
| Line of the loins | Roached | X | Weak | |||||||||
| Shape of the croup | Sloping | X | Flat | |||||||||
| Length of the croup | Long | X | Short | |||||||||
| Tail set | Low | X | High | |||||||||
| Frame Mark | 9.25 | |||||||||||
| Movement - Walk | ||||||||||||
| Length of stride | Long | X | Short | |||||||||
| Freedom of shoulder | A lot | X | Restricted | |||||||||
| Rhythm | Regular | X | Irregular | |||||||||
| Topline | Elastic | X | Stiff | |||||||||
| Engagement | Energetic | X | Dragging | |||||||||
| Walk Mark | 8.75 | |||||||||||
| Movement - Trot | ||||||||||||
| Length of stride | Long | X | Short | |||||||||
| Freedom of shoulder | A lot | X | Restricted | |||||||||
| Elasticity | Elastic | X | Stiff | |||||||||
| Impulsion | Rounded | X | Weak | |||||||||
| Balance | Carrying | X | Pushing | |||||||||
| Trot Mark | 9 | |||||||||||
| Trot Comment | ||||||||||||
| Very good balance and elasticity | ||||||||||||
| Movement - Canter | ||||||||||||
| Length of stride | Long | X | Short | |||||||||
| Freedom of shoulder | A lot | X | Restricted | |||||||||
| Elasticity | Elastic | X | Stiff | |||||||||
| Impulsion | Rounded | X | Weak | |||||||||
| Balance | Carrying | X | Pushing | |||||||||
| Canter Mark | 8.5 | |||||||||||
| Canter Comment | ||||||||||||
| Could bend hocks a little more | ||||||||||||
| Total Mark | Overall comment | |||||||||||
| 8.825 | GOLD | |||||||||||
| Judges Rik van Miert, Lesley Peyton-Gilbert, Darrel Scaife | ||||||||||||
|---|---|---|---|---|---|---|---|---|---|---|---|---|
| Veterinary Comment | Mark 1 | Mark 2 | ||||||||||
| Review medial lateral balance of front feet | 8.5 | 8.75 | ||||||||||
| Discipline | Sports Pony | |||||||||||
| Veterinary Assessment | ||||||||||||
| Stance of Forelegs | Over at the knee | X | Back at the knee | |||||||||
| Stance of Forelegs | Carpal valgus | X | Carpal varus | |||||||||
| Stance of Forelegs | Offset laterally | X | Offset medially | |||||||||
| Stance of Hindlegs | Acute hock angle | X | Straight hock angle | |||||||||
| Stance of Hindlegs | Tarsal valgus | X | Tarsal varus | |||||||||
| Stance of Fetlocks (front) | Over-extended | X | Upright | |||||||||
| Stance of Fetlocks (back) | Over-extended | X | Upright | |||||||||
| Shape of Feet | Wide | X | Narrow | |||||||||
| Heels | High | X | Low | |||||||||
| Symmetry of the Shoulder Girdle | Symmetrical | X | Asymmetrical | |||||||||
| Symmetry of the Pelvic Girdle | Symmetrical | X | Asymmetrical | |||||||||
| Quality of Legs: Tendon Sheaths | No effusions | X | Effusions | |||||||||
| Quality of Legs: Joints | No effusions | X | Effusions | |||||||||
| Correctness of Walk: front legs | Toed in | X | Toed out | |||||||||
| Correctness of Walk: hind legs | Toed in | X | Toed out | |||||||||
| Correctness of Trot: front legs | Toed in | X | Toed out | |||||||||
| Correctness of Trot: hind legs | Toed in | X | Toed out | |||||||||
| Muscle / Body | ||||||||||||
| Muscle Development | Well muscled | X | Poor | |||||||||
| Body Condition Score | Underweight | X | Overweight | |||||||||
| Growth Plate Development | ||||||||||||
| Knee: Right Front | Normal | X | Abnormal | |||||||||
| Knee: Left Front | Normal | X | Abnormal | |||||||||
| Hock: Right Hind | Normal | X | Abnormal | |||||||||
| Hock: Left Hind | Normal | X | Abnormal | |||||||||
| Fetlock: Right Front | Normal | X | Abnormal | |||||||||
| Fetlock: Left Front | Normal | X | Abnormal | |||||||||
| Fetlock: Right Hind | Normal | X | Abnormal | |||||||||
| Fetlock: Left Hind | Normal | X | Abnormal | |||||||||
| Foot Balance | ||||||||||||
| Foot Balance: Right Front | No issues | X | Attention needed | |||||||||
| Foot Balance: Left Front | No issues | X | Attention needed | |||||||||
| Foot Balance: Right Hind | No issues | X | Attention needed | |||||||||
| Foot Balance: Left Hind | No issues | X | Attention needed | |||||||||
| Conformation - Frame | ||||||||||||
| Body Shape | Rectangular | X | Square | |||||||||
| Body direction | Uphill | X | Downhill | |||||||||
| Length of legs | Long | X | Short | |||||||||
| Head-neck connection | Light | X | Heavy | |||||||||
| Length of neck | Long | X | Short | |||||||||
| Position of neck | Vertical | X | Horizontal | |||||||||
| Muscling of neck | Heavy | X | Poor | |||||||||
| Shape of neck | Arched | X | Straight | |||||||||
| Height of whithers | High | X | Flat | |||||||||
| Length of whithers | Long | X | Short | |||||||||
| Position of shoulder | Sloping | X | Straight | |||||||||
| Length of shoulder | Long | X | Short | |||||||||
| Line of the back | Roached | X | Weak | |||||||||
| Line of the loins | Roached | X | Weak | |||||||||
| Shape of the croup | Sloping | X | Flat | |||||||||
| Length of the croup | Long | X | Short | |||||||||
| Tail set | Low | X | High | |||||||||
| Frame Mark | 8.75 | |||||||||||
| Frame Comment | ||||||||||||
| very attractive with a strong hind quarter, well developed topline, and good connections | ||||||||||||
| Movement - Walk | ||||||||||||
| Length of stride | Long | X | Short | |||||||||
| Freedom of shoulder | A lot | X | Restricted | |||||||||
| Rhythm | Regular | X | Irregular | |||||||||
| Topline | Elastic | X | Stiff | |||||||||
| Engagement | Energetic | X | Dragging | |||||||||
| Walk Mark | 8.75 | |||||||||||
| Walk Comment | ||||||||||||
| developing excellent reach | ||||||||||||
| Movement - Trot | ||||||||||||
| Length of stride | Long | X | Short | |||||||||
| Freedom of shoulder | A lot | X | Restricted | |||||||||
| Elasticity | Elastic | X | Stiff | |||||||||
| Impulsion | Rounded | X | Weak | |||||||||
| Balance | Carrying | X | Pushing | |||||||||
| Trot Mark | 8.25 | |||||||||||
| Trot Comment | ||||||||||||
| very balanced and powerful | ||||||||||||
| Movement - Canter | ||||||||||||
| Length of stride | Long | X | Short | |||||||||
| Freedom of shoulder | A lot | X | Restricted | |||||||||
| Elasticity | Elastic | X | Stiff | |||||||||
| Impulsion | Rounded | X | Weak | |||||||||
| Balance | Carrying | X | Pushing | |||||||||
| Canter Mark | 8 | |||||||||||
| Canter Comment | ||||||||||||
| taking powerful strides, now needs to become more balanced for more ground cover | ||||||||||||
| Total Mark | Overall comment | |||||||||||
| 8.475 | a lovely prospect for dressage with naturally expressive movement and lovely conformation | |||||||||||
|
LEMONSHILL FALCON
TSPSS
|
DOUTHWAITE SIGNWRITER
|
TWYFORD SIGNAL
|
PENDOCK PEREGRINE |
| TWYFORD SPARKLE | |||
|
LYDSTEP PRAIRIE FLOWER
|
DOWNLAND GONDALIER | ||
| PLEIAD | |||
|
LEMONSHILL FIRECREST
|
COTTRELL ARTISTE
|
ROTHERWOOD STATE OCCASION | |
| DOWNLAND ALMOND | |||
|
BAUGHURST ADERYN
|
DOWNLAND MOHAWK | ||
| COED COCH ADEN | |||
|
ROULETTE II
|
RHONDEO
|
ROTSPON
|
RUBINSTEIN I |
| ANTALIA | |||
|
BONE DEA II
|
BRENTANO II | ||
| WENICA | |||
|
DE-LITE
|
DIMAGGIO
|
DON PRIMERO | |
| WINNIPEG | |||
|
LORINA
|
LYSANDER | ||
| SWINGA |